 |
 |
 |
| 東大最終講義 |
 |
| エドガー・ルビンの「盃の図」 |
 |
| イタリアの地図を白黒反転 |
 |
| 古坂江戸図を白黒反転 |
 |
 |
 |
| 閉鎖空間 |
 |
 |
 |
| モニュメンタリティ |
 |
| ユニテ・ダビタシオン |
 |
| トム・シュマッハの論文 |
 |
| グラファム・シェーンの論文 |
 |
ヴィジェーヴァノ・デュカーレ
広場平面図 |
 |
サンジミニヤーノ・ティステルナ
広場平面図 |
|
 |
 |
芦原義信 東大最終講義
第2章 外部空間の構成原理
さてその次に、街並みの構成について、一言しゃべらせていただきたいと思います。この街並みということが私の最近の関心事であります。バーナード・ルドフスキーがイタリアの街路について、次のように述べています。『街路は何もない場所には存在し得ない。すなわち周囲の環境とは切り離すことができないのである。いいかえるならば、街路は、そこにたち並ぶ建物の同伴者にほかならない。街路は母体である。都市の部屋であり、豊かな土壌であり、また養育の場である。・・・・・・そして、取り囲むのがアフリカのカスバのごときほとんど密室のような家々であろうと、あるいは、ヴェネツィアの繊細な大理石の宮殿であろうと、要は、その囲いの連続性とリズムである。街路は、それを縁どる建物があってこそはじめて街路であると言えよう。摩天楼と空地では都市はできない。』というようなことを書いております。最近は、こういった意見があちこちに出てきておりますが、少なくとも20世紀初頭、近代建築の教えの中には、たとえばコルビュジエがいったように、太陽、ソレイユ。空間、エスパース。あるいは、緑、ペルデュールというようなスローガン。建物はなるべく離ればなれに建てる。そしてその中に太陽、空間、そして緑というものを、ということで、ずっと進んでまいりました。それが最近、いろんな考え方が出てきているわけであります。こういった、たとえばルドフスキーのように、建築の空間はそのリズムと連続性によって取り囲まれているような空間であるという意見は、あちこちにあるわけであります。
そんなことで、いろんなことを私自身歴史的に考えてみますと、こういうことがあるわけであります。私は、いまから20数年前、初めてイタリアにまいりました。そして、イタリアの広場に佇んでいたことがあります。そのとき、非常に強い印象を受けましたのは、その広場にたまたま木が一本もない。そして舗装は非常に奇麗にされていて、場合によっては模様なんかもあって、その舗装が、建物の根元まできちんとされている。そしてそのイタリアの建築は組積造でありまして、煉瓦または石を積み重ねております。この組積造というのは、ご承知のとおり、外側も内側も似たような性質のものであります。金太郎飴のように割っても割っても石であり、煉瓦であること。そして家の中へ入っても、外の舗装と同じような舗装がしてあって、靴でそのまま入るということであります。そうすると、イタリアの空間で、内部と外部の差は、いったいどこにあるかということを、その広場に佇んで考える。そうすると、天井、屋根のある空間が内部。ない空間が外部。両者は、全く均質なような空間であります。そこでちょっとおいしいワインでも飲んで、イマージュの世界に入る。そうすると、向こうにあった屋根が、ずうっとこっちへ回転してきて、いままで外にいたと思っている空間が、今度は内になる。内だと思った空間が外になる、というような、極めて不思議な空間のリバーシビリティというか、空間が逆転しうるということを、その20何年前かに感じたわけであります。これは、みなさんご承知のとおり、ゲシュタルト心理学でいう、エドガー・ルビンの「盃の図」ですが、この二つの顔、向かいあった二つの顔と見れば、その間の空間は「地」となり、ここに盃を見れば、こちらの顔が「地」になるということは、これは有名な話でございます。このように、いままで「地」であったものが「図」になり、「図」であったものが「地」になりうるという空間。そういった性質をイタリアの広場は持っているということが、いえると思います。というのは逆の言葉でいえば、イタリアの広場には極めてゲシュタルト質があるということが、いえると思います。それに対して、わが国の空間でこれを逆転しうるような空間というのは、非常に少ないということであります。
それともう一つ、近代建築。さっきいいました、太陽、空間、緑というような計画におきまして、その隣棟間隔を転換しうるかというと、これ、なかなかむずかしいわけであります。そこでいろいろと考えてみたのが、イタリアの地図の逆転であります。この地図は、ジャンバチスタ・ノリの地図。これは有名な地図でありまして、最近いろんな本に使われておりますが、このように地図を、黒白逆転してみるというようなことをやってみますと、イタリアの地図の場合は――ことにノリの地図は、入っていいところが白くなっている――、それを逆転しますと、だいたい似たような感じになりますが、わが国のほうの地図は、これを逆転してもあんまり意味がないということであります。これが、だんだんいろんな事と関係しているわけであります。
さて、どういうことを考えたかというと、さっき鈴木先生からご紹介のありました中央公論ビルを設計しました時、あれは道路二面に面している建物であります。当時、空間のスプリット・レベル――まあブロイヤーがいいましたので、そういったことに関心があって――ちょっと床レベルをずらして設計しましたが、その両脇にある空間、これがどうもおかしな空間、隣りの建物と、ほんのこれくらい空いておりますが、その空間も集めると相当の空間になるわけでありまして、これをなんとか積極的な街の空間、あるいはさっきの図面でいいますと、非常に活性化する、あるいはゲシュタルト質を持たせるというようなことができないであろうか、ということを考えまして、そのとき考えたことが、古い話になりますが、「N-スペース」あるいは「P-スペース」というような問題であったと思います。非常に収斂性のある空間と、発散性のある空間というようなことを、当時考えていたわけでございます。
それともう一つ、隣棟間隔。これは最近よく考えてみると、いろいろと意義があるような気がしてまいりました。これは、どういうことかといいますと、たとえば、建物と建物との間の隣棟間隔、この間隔と高さの比率、これをD/Hというふうにいいますと、D/Hが、1、2、3、4、あるいは、0.5、0.25、0.125となると、だんだん迫ってきた空間ということになりますが、これが。ヘッジマンとピーツのThe American Vitruviusという大変面白い本がありますが、そのヘッジマン、ピーツによりますと、たとえば建物を十分鑑賞するために、D/Hとして2ぐらいが必要で、建物を一群の景観として鑑賞するためには3ぐらい。建物の高さの3倍ぐらい離れて見なければならないと、そういうようなことが書かれております。また、イタリアの建築におきまして、中世の建築ではD/Hがだいだい0.5、ルネサンス時代で、たとえばレオナルド・ダ・ヴインチは1:1ぐらいを理想としたと。それからさらに、バロック時代になりますと1:2というような比率を考える。そしてみな、建物の高さと隣棟間隔の関係を空間構成として、あるいは美学的に考えていたわけであります。それが、近代建築になりましてからは、たとえば冬至において日照4時間を確保するためにはD/Hを1.5以上とするとか、そういう機能的な理由によって空間構成を考えるということが、手法的に非常に行われましたが、空間の構成として、D/Hを考えるというようなことは、少なくとも近代建築の最初の考えのときにはなかった。特に、そういうものを否定するというようなところに、近代建築の真価があったと考えるのであります。
それからもう一つ、「閉鎖空間」という問題があります。角がかためられる「入隅」の空間というようなものは、近代建築においては、むしろ否定すべきものの一つであったというふうに考えられます。こういったことが、D/Hという空間構成のようなことが、また新たな立場で考えられるという時代も、また、そろそろ来ているような気がいたします。これは、たとえば、D/Hが1対1であるとき、それからもう少しつまってまいりまして、0.6とか、だんだん小さくなりますと、この面とこの面との間に干渉が発生いたしまして、非常に気になるという変節点になります。それからだんだん離れるにしたがって、気にならなくなってくる。そして、たとえばD/Hが4以上になりますと、建物と建物の関係において収斂性がなくなる。たとえばコルビュジエのチャンディガールヘ行ってみますと、セクレタリアートとハイコートの間には700メートルぐらい離れていますから、D/Hは10くらい、あるいは12ぐらいの空間をコルビュジエは平気で使っているということがいえると思います。おそらくコルビュジエは、近代建築の三つの要素から考えて、その隣棟の間にゲシュタルト質を持たせようというような考えは全くなかった、といってよろしいのではないかと考えられます。 一方、「閉鎖空間」というのは、たとえば、エルノ・ゴールドフィンガーとか、あるいはゴードン・カレンなんかが唱えだしたことかと思いますが、私は漫画で閉鎖空間というようなことを考えました。たとえば、これは、4本の柱が立っている。そして真中に人がいる。やはり、柱と人間との間に、なにか一つの閉鎖力が働く。しかし、その閉鎖力は弱いんだ。しかし、次にこのように壁が四枚立つけれども角が欠けている場合。これは、普通の街並みにおきまして、道路が四隅に入ってまいりますと、こういう空間になるわけであります。この場合の閉鎖感よりも、角が固められる、たとえば、道路が各辺の中央についてくるというような広場型、そういったものの閉鎖力というものは非常に強いんだ。その当時、なぜ角が固められたほうが優れるかという問題について、いろいろ考えてみたわけですが、これは、やはりゲシュタルト心理学の応用によって、「内側の法則」だとか、「取囲みの法則」というようなことで、十分に説明できると考えられます。
また、ゲシュタルト心理学をこんな大きな建築空間等に応用することが、いったいいいのであろうか、悪いのであろうかという問題もあります。これにつきましては、先般文学部に行って、心理学の先生とディスカスしたのですが、ちょっとびっくりしたような顔をして、それはいいんじゃないんでしょうかということでありましたし、世界的には、やはりノルベルグ・シュルツあたりもそういっておりますし、まあだいたいいいようであります。
それから、モニュメンタリティの問題を、考えたこともあります。たとえばこれでありますが、ここに一本のオベリスクのような垂直状のものが立っている。これには、非常に唯我独尊的なモニュメンタリティがある。そして、その逆空間であるところにも非常に奇麗なバランスがとれまして、記念性があるわけでありますが、それに対しまして、もしその近所に、不思議な格好のものが出てまいりますと、その逆空間に乱れが生じてまいりまして、このモニュメンタリティが失われる場合があるわけであります。そんなことから、たとえば非常に唯我独尊的なモニュメンタリティに対しまして、当時考えた複合的なモニュメンタリティ、たとえば二枚の壁が立って、そしてこういうようなところに陰影ができるような空間、そういったものに複合性があるんじゃないかということを考えたことがあります。
これは、建築に応用してみますとどういうことかといいますと、コルビュジエのマルセイユにありますユニテ・ダビタシオンの建築。これは、長さ160メートル、幅24メートル、高さもたしか60メートルくらいある、非常に大きな彫りの深い建物であります。これを初めて見に行ったときびっくりしたのですが、本当に今言ったオベリスクのような、非常に強烈な、モニュメンタリティのある建物でありまして、中に入ってみると、これは、なかなか問題があります。とにかく24メートル1戸のユニットがモジュールですから、1戸のユニットの幅が4.19メートルですが、奥行がその5倍ぐらいの20メートルから24メートルもあります。そういった細長い空間というのは、コートハウスとか、テラスハウスでは、中庭がないと成立しない程度の平面計画でありますが、そういったものが、ずうっと入るということ、これは、相当内部の空間に対しては犠牲があるわけでありますが、外側の形は、160メートル、幅24メートル、高さ60メートルというような非常に美しい形で、パッと建っている。当時、私が見たときはそばになんにもなかった。非常にモニュメンタリティがありましたが、最近は、なにかいろいろできたという話も聞きまして、いまのように逆空間に乱れが出てくると、ちょっと困るんじゃないかなということがいえると思います。
そういったことで、いろいろ今までやってきたことを考えてみますと、最近いろんな考えさせられることが出てきています。それは一つにはどういうことかというと、コーネル大学にコーリン・ローという先生がおられますが、その方のもとで、1963年〜67年ぐらいの間に研究された論文がいくつか出ております。たとえば、1967年に、マスター論文として発表されましたウエイン・コッパーという方の、”The Figure-Grounds”いう論文――これはまだ手に入らないので読めてないのですが――このゲシュタルトの「図」と「地」との関係、あるいは文献を集めてみますと、イェールでやってるオポジションに、スチュアート・コーエンという方が書かれた。”Physical Context Cultural Context: Including it All”という論文があります。これが、最初に"コンテクスチュアリズム"という言葉を使ったようであります。そして、その次に、トム・シューマッハーの”Contextualism:Urban Ideals+Deformations”――これは、カサベラに1971年に発表された論文でありますが――これを見ますと、いろいろ面白いのでありますが、さっきいいました凸空間的な、あるいは非常に強烈なモニュメンタリティのあるコルビュジエのユニテ・ダビタシオンと私がさっきからいっておりました内包的な広場の空間、あるいは閉鎖空間というようなものの例といたしまして、たとえば、ジョルジョ・バザーリのフィレンツェのウフィツィの空間、そういったものを対比している。それからこれは正しくノリの地図でありまして、そしてまたこれは、ヴェネツィアのサン・マルコの広場でありまして、これを黒白逆転して考えているわけであります。そういたしますと、さっきから私が述べてまいりましたものの基本的な考え方と、このトム・シューマッハーがやっているコンテクスチュアリズムとの関係、さらにまた、ここに、グラハム・シェーンのコンテクスチュアリズムでありますが、これを見ますと、まさにさっき私が「P-スペース」あるいは「N-スペース」といっていたようなことがここに書かれております。これは、近代建築で忘れられておりましたような言葉の再登場でありまして、大変面白いというふうに考えられるのです。しかし、このコンテクスチュアリズム的な考えというのは、なにも最近の問題でなくて、非常に昔からあった問題だと思います。これは、いままでの在来の街並みのコンテクスト、文脈をある程度考えた上で、一つ一つ新しい考えを、あるいは、建物を持ち込もうということであります。
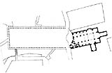
非常に面白い例といたしまして、ミラノの西北の方にヴィジェーヴァノという奇麗な町がございます。この町の中に、ピアッツァ・デュカーレという広場がございます。これが広場の平面図でありますが、48メートル×134メートルぐらいのルネサンス式の広場であります。三方に非常に奇麗なアーケードがあります。そしてここに、こんな奇麗な舗装の模様があります。ここに一つ不思議なことがあるのですが、ここに、バロック風の寺院があります。この建物が、実際はこの広場の軸に対して曲がっているにもかかわらず、この面だけが奇麗に左右対称に軸線を合わせて造ってあります。これは、どういうことかといいますと、アーケードはルネサンス様式でありまして、こちらの寺院はバロック様式ですから、様式史から考えても、寺院が後からできたと考えられます。こちらの写真でみますと、このようにルネサンス風の奇麗なアーケードがありまして、ここに正面が凹面になりましたところのバロック風のカテドラルが建っています。そしてまた小さな町の小さな広場であります。イタリア人にとっても有名な広場ですが、なかなかいいのでありまして、これをよく考えてみますと、イタリア人にとっては広場のほうが重要である。われわれ建築家は、この建物のほうが重要であるとして設計をすると思いますが、この場合、広場のほうが重要であるとして、この形を整えていくということ、これは、ある意味ではコンテクスチュアリズムの考えとも一致するものと思います。あるいは私の理論でいえば、これに屋根をかければ、この外壁は、この広場の内壁になる。そして屋根をとれば、この壁はもとの建物の外壁になるという意味あいを持った空間でありまして、また、こういった奇麗な模様のある舗装がしてあるというようなことは、これを、屋根をかければ、十分に内部の空間となりうるような、そういう空間であるということがいえるわけであります。
こういった手法は、イタリアではずいぶん沢山あちこちにありまして、また、ダ・ヴィンチやミケランジェロなんかも、ファサードだけやったというようなことも聞いたことがあります。また一方、カミロ・ジッテに対する評価も一方ではあるわけであります。これは、私が初めて知ったのは1960年、論文を書くためにアメリカヘ行ったとき、どこの大学からビブリオグラフィをもらっても、ジッテの名前が出ている。しかし、なかなかこの本が入手できないので、本屋さんとも相談して、ニューヨーク・タイムズに広告を出したらどうだろうかということで、広告を出したこともありましたが、結局手に入らなかったのですが、この本は、考えてみれば古くから非常に評価されていたものでありますが、コルビュジエはこの本を問題にしなかったということであります。たとえばこれは、コルビュジエの言葉を借りていえば、このジッテの本は、いかにも巧みに証明されているようであるけれども、それは過去のつまらない路傍のものを取り上げた程度のものであって、あまり意味がないというようなことを、いっているわけでありまして、それ以来、近代建築を推進するに当たっては、ジッテというものは一切口に上らないというようなことであったわけです。それが最近、さっきのコンテクスチュアリズムをやっている人たちは、非常にこれを再評価しておりまして、ジッテにささげる論文を書いている人たち、あるいは、一番面白いのは、ロブ・クリエの”Urban Space in Theory and Praxis”、これは非常に面白い論文でありまして、まさにこの広場の造形を分析しているわけであります。そういった形で再登場してくるということであります。
それは、どういうことかというと、大谷研の八束君が非常にくわしく書いておりますが、たとえば、60年代のチーム・テンだとか、あるいはアーキグラムだとか、メタボリズムとか、そういった人たちの都市論というのは、いわゆるモビリティとか、あるいは、情報の伝達だとか、発展のダイナミズムというようなものを非常に重要視しておりましたが、この、いわゆるコンテクスチュアリズム、あるいはジッテらの考え方、そういったものに一切目を閉じてしまっている。空間自体の問題、それをフォルムとか、あるいは意味というようなことで、これを捉えようとしているということであります。そして、この街区ごとの問題を、非常に重要視しているのでありまして、その街区における機能の混在などのことに対しては、わりと寛大であります。用途地域制とかそういうものに対して、たとえぱ、ジェイン・ジェイコブスがかかわっていた用途の混在というようなこと、そういったことを街区ごとに解決していくということ。用途地域制などがはっきりと行われなくていいんじゃないか。そのほうが、かえって街にとってはいいんじゃないか、という考え方も一方には出てきているわけであります。
|
 |